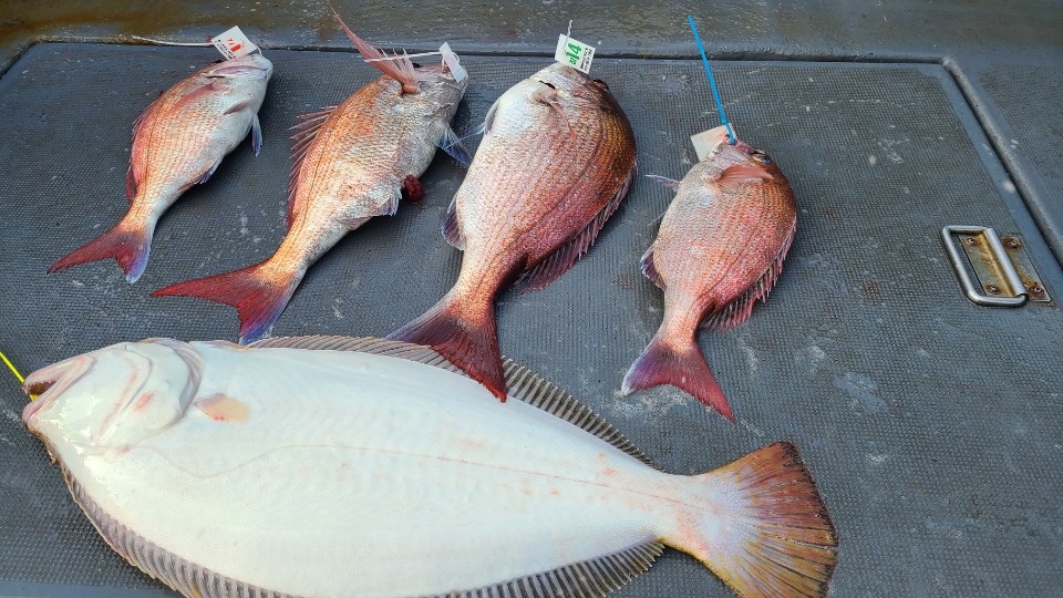
14분 조사님과 다녀왔습니다.
바람분 다음날이라 그런지 너무 힘들었습니다.
중내만까지 뻘물이라 외연도까지 갔음에도 조황은 좋지 않네요.
9월5일 대성1호 주꾸미조황
대성1호 1,663
9월4일 대성1호 주꾸미조황
대성1호 1,475
9월1일 대성1호 주꾸미조황
대성1호 1,716
8월23일 대성1호 참돔조황
대성1호 1,670
8월22일 대성1호 참돔조황
대성1호 1,601
8월21일 대성1호 참돔조황
대성1호 1,636
8월17일 대성1호 참돔조황
대성1호 1,664
8월16일 대성1호 참돔조황
대성1호 1,633
8월15일 대성1호 참돔조황
대성1호 1,752
8월1일 대성1호 참돔조황
대성1호 1,787
7월27일 대성1호 참돔조황
대성1호 1,768
7월26일 대성1호 참돔조황
대성1호 1,724
7월21일 대성1호 참돔조황
대성1호 1,799
7월18일 대성1호 참돔조황
대성1호 1,852
7월17일 대성1호 참돔조황
대성1호 1,774
7월12일 대성1호 참돔조황
대성1호 1,769
7월11일 대성1호 참돔조황
대성1호 1,981
7월8일 대성1호 참돔조황
대성1호 1,835
7월7일 대성1호 참돔조황
대성1호 1,887
7월5일 대성1호 참돔조황
대성1호 1,829