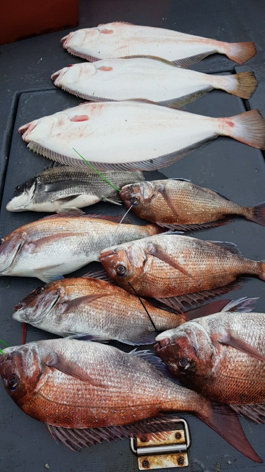
하루종일 낱마리로 잊을만 하면 한마리씩 나와주었네요.
광어 사이즈가 좋고 감성돔이 나올줄은 몰랐네요.
예정에 없던 비가오는 바람에 추워서 다들 고생하셨습니다.
5월31일 대성1호 참돔조황
대성1호 2,019
5월30일 대성1호 참돔조황
대성1호 2,062
5월28일 대성1호 참돔조황
대성1호 2,138
5월27일 대성1호 참돔조황
대성1호 2,356
5월24일 대성1호 참돔조황
대성1호 2,328
5월23일 대성1호 참돔조황
대성1호 2,141
5월22일 대성1호 참돔조황
대성1호 2,275
5월20일 대성1호 참돔조황
대성1호 2,001
5월17일 대성1호 참돔조황
대성1호 2,303
5윌16일 대성1호참돔조황
대성1호 2,268
5월14일 대성1호 참돔조황
대성1호 2,324
5월6일 대성1호 참돔조황
대성1호 2,167
5월5일 대성1호 참돔조황
대성1호 2,856
5월2일 대성1호 참돔조황
대성1호 2,606
4월 18일 대성1호 참돔탐사 조황
대성1호 2,191
4월15일 대성1호 내만우럭 조황
대성1호 2,632
3월18일 대성1호 우럭 조황
대성1호 2,450
11월9일 대성1호 쭈갑조황
대성1호 2,519
11월6일 대성1호 쭈갑조황
대성1호 2,608
11월5일 대성1호 쭈갑조황
대성1호 2,921